花花周末回家,发现家里的蟹爪兰被老妈剪了个七七八八,看着剪下来的花苞,真是好心疼啊,但是为了让家里的花长得更好,就算辣手摧花也认了!蟹爪兰剪花苞,一茬一茬长不停!进入初冬,蟹爪兰就开始不断爆花了,有时候看着那么多花苞都胆战心惊的,这么多花苞,想要开花,一定得补充足够的养分才行!

有些花友,为了让蟹爪兰开花更大,会选择适当给它进行疏蕾。检查一下蟹爪兰茎节前端的花苞,如果一个茎节上冒了至少4-5个花苞,可以有选择性地给它掐掉几个,掐掉瘦弱的,留下健壮的花苞。

当然,你不想动手掐也可以,在花苞逐渐长大的过程中,那些得不到养分的花苞也会自己逐渐枯萎、脱落,只剩下健壮的花苞吸收足够的养分长大、开花,所以疏蕾与否,看自己的想法了。

对于那些一盆花苞比较多、花朵也比较多的,可以将残花尽快剪了,顺带剪掉残花下2对叶片,避免养分消耗,让营养更多得供给还没开的花苞。


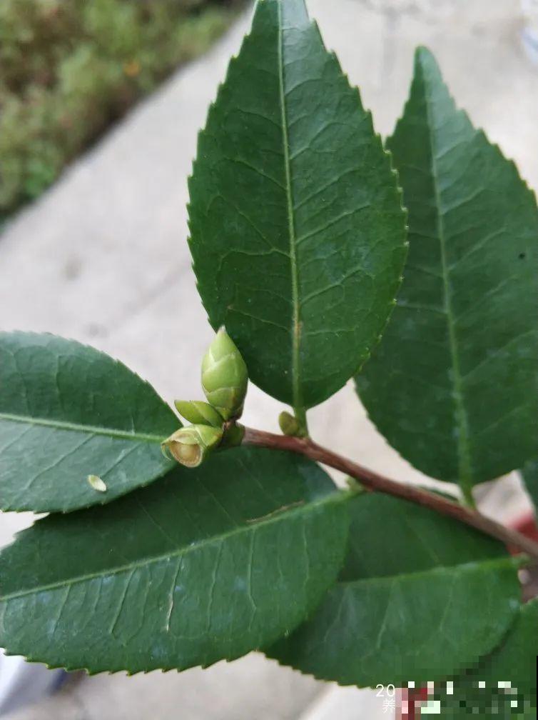
茶花疏蕾,才能开花更大!想要茶花开花后,花朵像碗口那么大,在它冒花苞的时候,就得进行疏蕾,也就是将瘦弱的花苞剪掉,只留下健壮花苞。

疏蕾的时候,要检查一下花苞所在的枝条健壮情况,如果是特别健壮的枝条,留下2-3个花苞没问题,如果瘦弱的,只留1个,特别细弱的,直接剪了一个花苞也别留了,开花的前提,得让枝条长得壮,如果枝条都没养分生长,怎么可能开花。

给茶花疏蕾,刀子一定要消毒后再用,而且疏蕾的时候,不需要把整个花苞都剪下来。如果全剪了,花托容易受到伤害,甚至可能造成细菌感染,导致其他健壮的花苞也出现问题,甚至萎蔫、掉苞。

一般用剪刀将疏蕾的花苞剪掉2/3,让它有1/3留在枝条上,这样它被剪的花苞,残留的这部分会慢慢萎缩,之后自己就慢慢掉了,对其他花也不会造成影响。


想要菊花又大又美,疏蕾也很重要!很多冬天还在开花的菊花,不管是大菊花还是小菊花,想要开花旺就得进行疏蕾,特别是一根枝上冒十多个花苞,肯定要剪掉一部分。

给菊花掐花苞没什么讲究。遵循的一个原则,就是只掐瘦弱的,留下几个健壮的,让养分集中供给这几个健壮花苞,这样以后才能让它开花更大!

狠狠心疏蕾一波,足足摘下了百八十个花苞,看着就特别震撼!

除了花花推荐的这3种,你还给哪些花疏蕾过?不如在留言告诉花花吧!